Descubren un ‘Mundo Perdido’ bajo el Mar de Tasmania
Se trata de una cadena impresionante de volcanes submarinos ubicados a 5.000 metros de profundidad.

En las aguas de la costa este de Australia, concretamente bajo el mar de Tasmania, un equipo de científicos ha descubierto algo que nunca antes habían visto los ojos humanos: un ‘mundo perdido’ de gargantuescos volcanes de más de tres metros de altura.
Se trata de una vetusta carretera de volcanes submarinos masivos, y esas montañas sumergidas sirven de autopistas marinas para las ballenas, según un comunicado de prensa de la agencia nacional de ciencia de Australia, CSIRO.
“Mientras estábamos sobre la cadena de montañas submarinas, el barco fue visitado por un gran número de ballenas jorobadas y de aletas largas”, comentó Eric Woehler, ecólogo de aves marinas de la Universidad de Tasmania y miembro de la tripulación a bordo del RV Investigator durante su reciente expedición. “Estimamos que al menos 28 ballenas jorobadas individuales nos visitaron en un día, seguidas de un grupo de 60 a 80 ballenas de aleta larga al día siguiente”.
Los científicos se habían embarcado recientemente en un recorrido de 25 días por el mar de Tasmania para estudiar la productividad del océano, el proceso mediante el que el fitoplancton microscópico convierte la luz del sol en el carbono que sustenta ecosistemas oceánicos completos. Mientras observaban la vida marina local, otros miembros de la tripulación escanearon signos de actividad de fitoplancton y mapearon trozos del fondo oceánico previamente inexplorados usando un sonar especial.
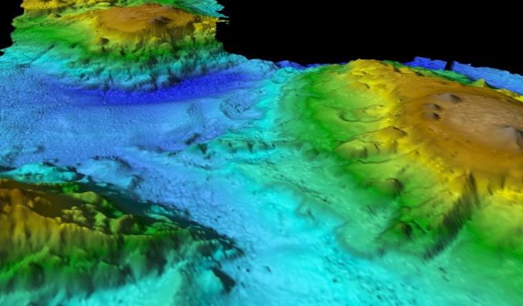
Cuando el buque de investigación se encontraba a 400 kilómetros al este de Tasmania, la tripulación observó picos en la actividad del fitoplancton. Las exploraciones de sonar revelaron que la actividad coincidió con la aparición de una cadena gigantesca de montañas volcánicas sumergidas a miles de metros bajo de la superficie del mar.
Las exploraciones de sonar expusieron que estas cordilleras ocultas y subacuáticas se alzaban desde el fondo marino a unos 5.000 metros por debajo de la superficie del agua. Los volcanes variaban en tamaño e inclinación; algunos eran picos irregulares que se alzaban hasta 3.000 metros por encima del fondo marino, mientras que otros eran vastas y bajas mesetas. Cada una de las colinas y valles titánicos se formaron probablemente hace muchos milenios como resultado de la antigua actividad volcánica en el área, según apuntan los investigadores.
Hoy, este insólito ‘mundo perdido’ probablemente proporciona hábitats para una población de vida marina enormemente diversa.
Según los expertos, las montañas más sobresalientes podrían servir como “señales” submarinas en una carretera migratoria para las ballenas regionales, ayudando a guiarlas desde sus áreas de reproducción de invierno a sus áreas de alimentación de verano.

“Este es un paisaje muy diverso y, sin duda, será un punto de acceso biológico que admite una deslumbrante variedad de vida marina”, dijo Tara Martin, investigadora de la Organización de Investigación Científica e Industrial del Commonwealth (CSIRO), la agencia científica que opera el RV Investigator.
Los científicos tendrán que estudiar más a fondo estos montes submarinos recién descubiertos para descubrir si realmente representan una “autopista de la vida marina”. Dos nuevas expediciones a este nuevo ecosistema vibrante y diverso se embarcarán en noviembre y diciembre.